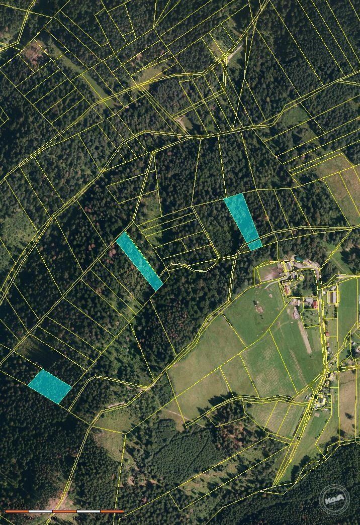
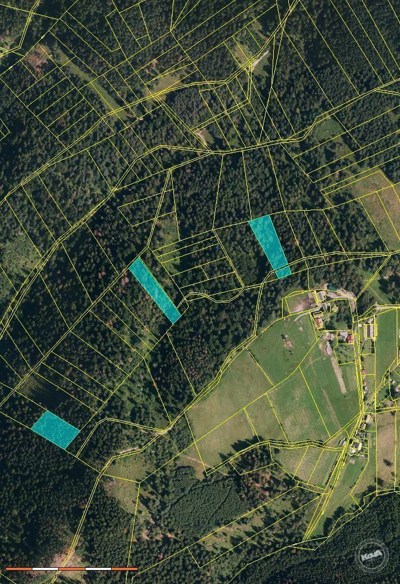
Opakovaná aukce lesních pozemků, cca 11 tis m2, Návsí, okr. Frýdek-Místek

Frýdek-Místek, Návsí
158 727 Kč
Nejnižší podání

Prodej lesních pozemků formou elektronické aukce, jedná se o tyto pozemky:
• Pozemek parc. č. 1692/8 o výměře 409 m2 – lesní pozemek;
• Pozemek parc. č. 1710/5 o výměře 3 528 m2 – lesní pozemek;
• Pozemek parc. č. 1885/2 o výměře 3 425 m2 – lesní pozemek;
• Pozemek parc. č. 1885/7 o výměře 3 334 m2 – lesní pozemek;
vše zapsané v katastru nemovitostí u Katastrálního úřadu pro Moravskoslezský kraj, Katastrální pracoviště Třinec, na LV č. 4321, pro katastrální území Návsí, obec Návsí, okres Frýdek – Místek,

Vítězem aukce se stává Účastník aukce, který učinil nejvyšší podání.

Nabídka
Nabídka
Číslo zakázkyKP011642
Druh zakázkyDražba
Stav zakázkyZrealizováno
Aktualizace23.03.2022
Dražba
Dražba
Druh dražbyAukce
Datum dražby 18. 05. 2021  10:00
Místo dražby www.jrdrazby.cz
Termín první prohlídky 18. 05. 2021  10:00
Termín druhé prohlídky 18. 05. 2021  10:00
Vyvolávací cena 158 727 Kč
Znalecký posudek 238 090 Kč
Minimální příhoz 1 000 Kč
Jistina 1 Kč
Parametry
Parametry
Nemovitost
Forma vlastnictvíOsobní
Plochy
Plocha parcely 10 696 m2
Inženýrské Sítě
Zobrazit na mapě
Zobrazit na mapě
Cena
Cena
158 727 Kč
Nejnižší podání

Máte dotaz? Napište mi

Vaše osobní údaje využijeme pouze za účelem komunikace o zaslané nabídce. Nebudeme vám zasílat newsletter ani vaše údaje nepředáme třetím stranám.
Více o ochraně osobních údajů zde.

zrušit

Nenašli jsme žádné výsledky

Vámi zadaný výraz neodpovídá žádný záznam. Zkuste pozměnit svůj hledaný výraz.