Dražba zahrady 479 m2 v obci Zlechov

Uherské Hradiště, Zlechov
36 000 Kč
Nejnižší podání

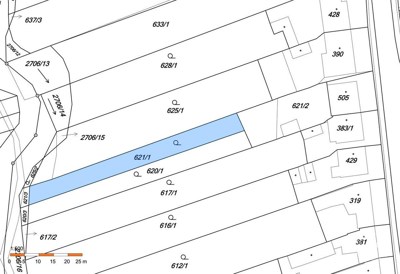
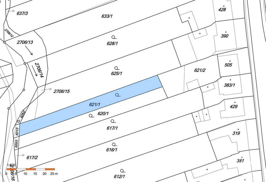
Dražba pozemku - zahrady o výměře 479 m2 dle platného územního plánu určen k zástavbě objektem bydlení. K pozemku nelze zajistit přímý přístup z veřejné
komunikace. Šířka pozemku cca 7 m. Více informací naleznete ve znaleckém posudku a dražební vyhlášce. Dražbou zanikají veškerá omezení, která na pozemcích váznou.

Nabídka
Nabídka
Číslo zakázkyKP011391
Druh zakázkyDražba
Stav zakázkyZrealizováno
Aktualizace11.02.2021
Dražba
Dražba
Druh dražbyDobrovolná
Datum dražby 05. 04. 2018  11:00
Místo dražby www.jrdrazby.cz
Termín první prohlídky 28. 02. 2018  14:00
Termín druhé prohlídky 03. 04. 2018  14:00
Vyvolávací cena 36 000 Kč
Znalecký posudek 72 000 Kč
Minimální příhoz 1 000 Kč
Jistina 1 Kč
Parametry
Parametry
Nemovitost
Využití z hlediska ÚPObytná
Forma vlastnictvíOsobní
KomunikaceNe
Plochy
Plocha parcely 479 m2
Inženýrské Sítě
Zobrazit na mapě
Zobrazit na mapě
Dokumenty ke stažení
Dokumenty ke stažení
Cena
Cena
36 000 Kč
Nejnižší podání

zrušit

Nenašli jsme žádné výsledky

Vámi zadaný výraz neodpovídá žádný záznam. Zkuste pozměnit svůj hledaný výraz.