Dražba pozemků o výměře 4 152 m2, Praha, Hájek u Uhříněvsi

Praha 22, Hájek u Uhříněvsi
250 000 Kč
Nejnižší podání

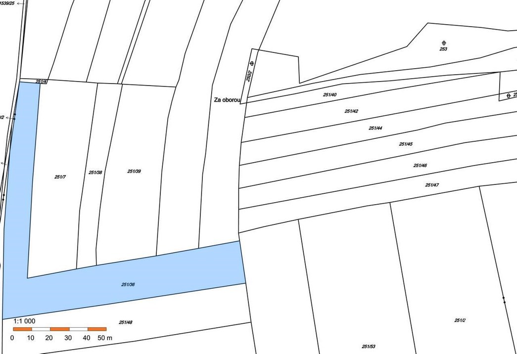
Pozemek parc. č. 251/36 o celkové výměře 4152 m2, vedený v katastru nemovitostí jako orná půda. Jedná se o pozemek ve tvaru písmene L, který je součástí velkého lánu pole. Územním plánem je pozemek zařazen do území OP – orná půda, pěstování zeleniny. Pozemek není oceněn v cenové mapě stavebních pozemků hlavního města Prahy.

Nabídka
Nabídka
Číslo zakázkyKP011411
Druh zakázkyDražba
Stav zakázkyZrealizováno
Aktualizace11.02.2021
Dražba
Dražba
Druh dražbyDobrovolná
Datum dražby 12. 06. 2018  11:00
Místo dražby www.jrdrazby.cz
Termín první prohlídky 31. 05. 2018  15:00
Termín druhé prohlídky 07. 06. 2018  15:00
Vyvolávací cena 250 000 Kč
Znalecký posudek 784 700 Kč
Minimální příhoz 10 000 Kč
Jistina 30 000 Kč
Parametry
Parametry
Nemovitost
Využití z hlediska ÚPZemědelství
Forma vlastnictvíOsobní
KomunikaceNe
Plochy
Plocha parcely 4 152 m2
Inženýrské Sítě
Zobrazit na mapě
Zobrazit na mapě
Dokumenty ke stažení
Dokumenty ke stažení
Cena
Cena
250 000 Kč
Nejnižší podání

zrušit

Nenašli jsme žádné výsledky

Vámi zadaný výraz neodpovídá žádný záznam. Zkuste pozměnit svůj hledaný výraz.